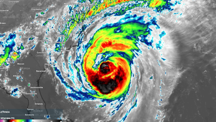
El huracán Erin continúa siendo motivo de atención internacional, no solo por su intensidad, sino también por su tamaño excepcional. El Centro Nacional de Huracanes (NHC, por sus siglas en inglés) informó que este fenómeno alcanza un diámetro de 850 kilómetros, casi el doble de lo que suele abarcar un huracán típico en el Atlántico.
Desde la Estación Espacial Internacional (EEI), a 400 kilómetros de altitud, se captaron imágenes que muestran la inmensidad de la tormenta, con un remolino de nubes tan extenso que llega a cubrir por completo la superficie terrestre bajo su paso.
Quizás te interese: Huracán Erin, ¿Cuál es su trayectoria en el Atlántico y cómo afectará a México?
Erin avanza con fuerza hacia la costa este de EE.UU.
Aunque los pronósticos del NHC sugieren que Erin podría internarse mar adentro en los próximos días, sus efectos ya se sienten en la costa este de Estados Unidos. El miércoles rozó Carolina del Norte, donde las marejadas obligaron al cierre de carreteras y provocaron inundaciones en zonas bajas.
Además, los Outer Banks y parte de la costa de Virginia se encuentran bajo condiciones de tormenta tropical, con lluvias intensas y ráfagas de viento. Florida, por su parte, registró fuertes oleajes y advertencias de resaca, mientras el oleaje destructivo y la erosión costera se perfilan como riesgos adicionales.
Vientos y estructura del ciclón
El núcleo de Erin mantiene vientos máximos sostenidos de 169 km/h, dentro de la categoría de huracán. Sin embargo, su mayor peligro radica en la amplia banda externa de vientos con fuerza de tormenta tropical, que se extiende cientos de kilómetros y alcanza parte del litoral estadounidense.
De acuerdo con los meteorólogos, este patrón inusual convierte al huracán en una amenaza prolongada, incluso sin tocar tierra directamente. Las autoridades han reiterado que podrían subestimarse los efectos de sus vientos y oleajes sobre la costa este.
Una tormenta que seguirá activa
Los pronósticos indican que Erin se mantendrá como huracán durante todo el fin de semana, con lluvias torrenciales y mareas de tormenta que podrían afectar a millones de personas. Aunque el centro del ciclón permanezca en el Atlántico, el riesgo de inundaciones, erosión costera y corrientes de resaca se mantendrá elevado.
La combinación de imágenes satelitales de la NOAA y registros desde la EEI han permitido dimensionar la magnitud del fenómeno, que ya es considerado uno de los huracanes más imponentes de los últimos años.
📲 ¡Síguenos en nuestro canal de difusión de WhatsApp! —>Solo da clic aquí
Y para esta y más información, síguenos también en nuestras múltiples redes sociales: en Facebook nos encuentras como Azteca Chihuahua, vía Twitter @aztecachihuahua. Instagram como @tvaztecachihuahua y TikTok @tvaztecachihuahua o también visita más notas en nuestro sitio web www.aztecachihuahua.com
Quizás te interese: temporada de frentes fríos 2025-2026, ¿Cuáles son los estados de México que se verán más afectados?
